Trenčín24.sk

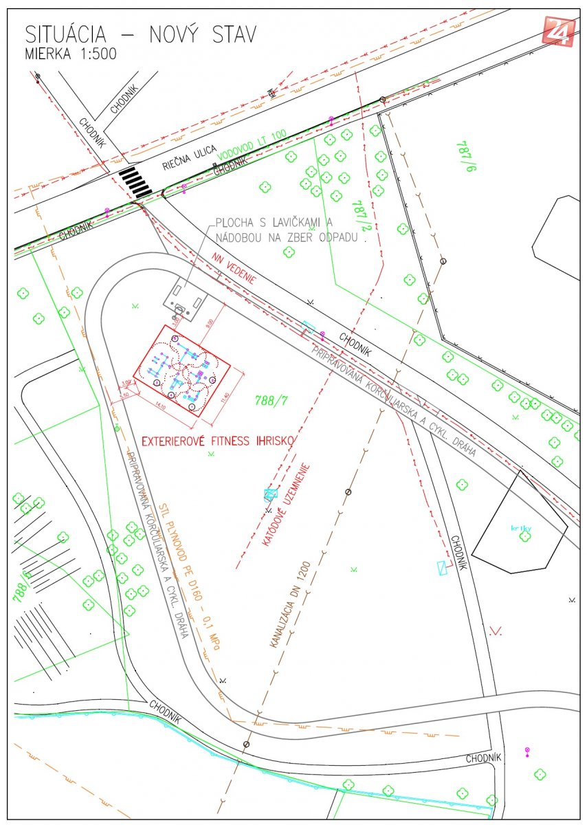
Galéria k článku Dobrá správa nielen pre športovcov: V Mestskom parku vyrastie fitness ihrisko


Zdroj: Dnes24.sk
2 / 2